Kaixo, siguiendo nuestra manía de localizar Seles, el 17 de diciembre, fui con Javier (Jabondo) y Jose a buscar un par de ellos.
El de Listorreta, cuyo piedra central (Austarri) no localizamos, creemos que la pista que pasa por
su centro se lo llevó por delante, y el de Pagoeta en el que en el centro del saroi si tenía el Austarri con sus marcas correspondientes.
Y el de Pagoeta, éste si cayó.
Aprovechamos para pasar por tres de las cuatro piedras de Argurutze, nos faltó una, la buscamos por la zona que sabíamos que estaba pero no la encontramos.
Seguimos hasta el sel de Muniskue y de aquí bajamos otra vez a Pardiola Txiki.
Una mañanera sencilla en la que conocimos nuevos rincones e historias de Euskal Herria.
Van las fotos
Ortofoto de la zona, donde aparecen los seles.

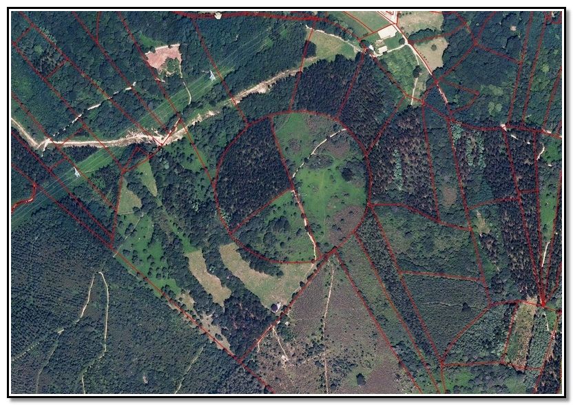
Y otra ortofoto del saroi de Listorreta, como se ve es una zona redonda, en su centro tendría que haber habido un Artamugarri pero ha desaparecido.

En Pardiola Txiki hay un cartel con algunos datos.

Una metas, cada vez se ven menos


Y una Cista, la de Urteagako Zabala, está indicada pero tapada otra vez y no se ve.

Pardiola Txiki

Desde aquí se ve el baserri de Larregain, que es un sel, y la cima de Akolatxarako gaina.

Llegamos a la primera piedra de Argurutze



En este manzanal hay otra pero no dimos con ella, otra vez será.

Una muga, divide terrenos, no municipios.

Y, en seguida, llegamos a otra zona donde en 5 metros hay dos, una está grabada en un piedra grande


La otra, en otra gran piedra


A la derecha, en la piedra grande, hay una cruz y en la piedra grande a la izquierda está la otra.

Seguimos hasta que localizamos el Artamugarri del saroi de Pagoeta, muy majo, delante del árbol, tiene el circulo y ocho radios indicando sus correspondiente baztermugarris o piedras periféricas.



Cima de Akolagain, el collado de Akola, Akolatxarako Gaina e Igoin. Se adivina el sel de Akola y el de Alkatxurain que es el baserri que se ve abajo a la derecha.

La fuente de Muniskue, siempre biene bien.

Más adelante visitamos el Artamugarri de Muniskue, gran piedra, algo desgastada, con sus correspondientes radios grabados. Este es fácil de localizar, está indicado.


Y, de repente, apareció una ardilla, cómo trepaba la muy puñetera.

Y, ya que estábamos en plan "piedras", porqué no acercarmos a la estación megaítica de Muniskue ? pues vamos para allá.

Con vistas a Adarra

Y también a Aballarri


Y, para acabar, unas ovejitas.


Y ésto es todo, encontramos los seles que queríamos, aunque uno no tuviese Aratmugarri, conocimos la historia de las cruces de Argurutze y nos dimos una vuelta estupenda y, al final, regada con una buena cervecita.
Más información de
Seles en Saroiak
De las piedras de Argurutze Club Vasco de Camping - Errimaia nº 64
Y en el periódico "La Voz de España" del 9 de Mayo del año 1965, en la pag. 16.
Agur.
No hay comentarios:
Publicar un comentario